Jamaika, 2025’in en geçlü fırtınasını göğüslüyor. Şimdiden 3 kişinin hayatını alan korkunç fırtına sebebiyle civar ülkelerde insanlar sığınaklara kaçtı, şehir ve kentlerde evler yıkıldı.
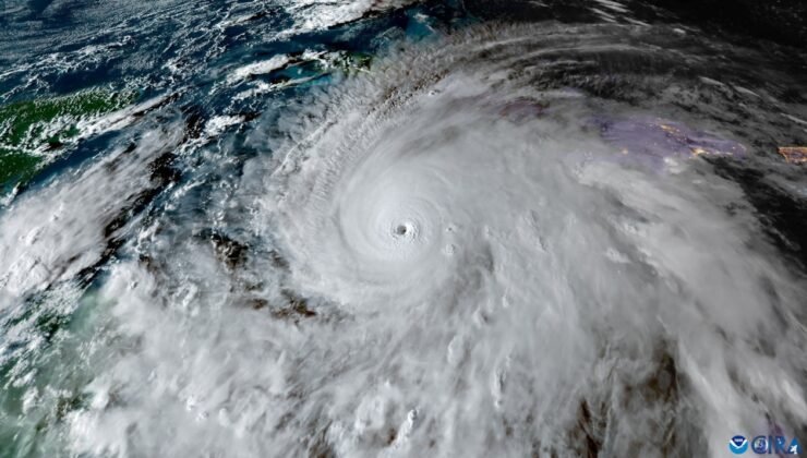
En ağır darbeyi alan Jamaika’ada “Yıkıcı ve ölümcül” koşulların başladığı uyarısı yapıldı. Saatte 282 kilometreye ulaşan rüzgar hızına sahip Kasırga Melissa beşinci kategoriye ulaştı.
Salı sabahı adaya vuran kasırga, Haiti ve Dominik Cumhuriyeti’nde de en az dört can aldı. Küba’da ise şehirler boşaltıldı.
174 SONRA EN BÜYÜK FIRTINA
Ulusal Kasırga Merkezi verilerine göre Melissa yılın en güçlü fırtınası olarak kayıtlara geçti. CBS’in bildirdiğine göre mevcut gücüyle Jamaika’nın 1851’den bu yana gördüğü en sert kasırga olacak.
Melissa’nın rüzgar hızı saatte 280 kilometreye ulaştı. Fırtınanın merkezindeki “göz duvarı” olarak bilinen bölgede yapısal hasarın kaçınılmaz olduğunu bildirdi.
Kurum direktörü Michael Brennan “Salı gününe kadar ölümcül ani sel ve çok sayıda toprak kayması bekleniyor dışarı çıkmayın” dedi.
Jamaika hükümeti başkent Kingston kentinin bazı bölgeleri için tahliye emri verdi. Eğitim Bakanı Dana Morris Dixon “Ekim boyunca zaten yağmur aldık toprak doymuş durumda şimdi bu kadar yağış felaket getirecek” dedi.
ABD Ulusal Okyanus ve Atmosfer Dairesi’ne ait bir keşif uçağı şiddetli türbülans nedeniyle görevini yarıda bıraktı.
İNSANLAR EVLERİNİ TERK ETMİYOR
Bakan 881 barınağın tamamının açıldığını ve ücretsiz olduğunu açıkladı. Ancak Jamaika halkı, fırtınıya rağmen evlerini terk etmiyor. Halk, evlerinin yağmalanmasından endişe ediyor.
Ancak bölgede yollar şimdiden kapandı. Acil bir durumda helikopterlerin ise rüzgardan dolayı insanlara ulaşması mümkün değil.
Başbakan Andrew Holness “Her Jamaikalı hazırlıklı olmalı evde kalmalı ve tahliye emirlerine uymalı” çağrısı yaptı. Holness “Bu fırtınayı atlatacağız ve evlerimizi daha güçlü şekilde, yeniden inşa edeceğiz” dedi.




